
Na razie nie spełnia się najgorszy scenariusz, mówiący o prędkości wiatru dochodzącej do 300 kilometrów na godzinę. Ale i tak nie są to dobre wiadomości. Z map amerykańskiej agencji zajmującej się prognozami pogody (National Oceanic and Atmospheric Administration) wynika, że huragan Irma właśnie uderza w wybrzeża Florydy.
REKLAMA
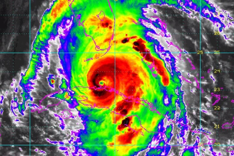
Mapę NOAA zamieścił na Twitterze meteorolog, prezenter pogody w TVN Tomasz Wasilewski. Żywioł dotarł właśnie do południowych wybrzeży amerykańskiego stanu Floryda, osiągając już rejon łańcucha wysp koralowych Florida Keys.
Warunki pogodowe na Florydzie pogarszają się z godziny na godzinę. Najgorsza sytuacja ma być tam o świcie miejscowego czasu – wówczas dotrze tam oko huraganu.
Prędkość, jaką osiąga huragan w tej chwili, to ponad 200 kilometrów na godzinę. Niestety, Irma przybiera na sile i tuż przed dotarciem do wybrzeży Florydy ponownie została zakwalifikowana do 4. kategorii huraganów w 5-stopniowej skali. Stpień 5. prawdopodobnie osiągnie, gdy dotrze w rejon lądu. Lokalne władze zarządziły ewakuację 6 mln mieszkańców.
Już wcześniej Irma poczyniła spustoszenie na Karaibach, gdzie zginęło kilkadziesiąt osób. Na wyspie Saint Martin, na jej holenderskiej części, utknęła para z Polski, która nie ma jak się stamtąd ewakuować, a tymczasem na wyspie wręcz zaczyna brakować jedzenia.